000 Humpity Marsh Road

  • $160,000
Featured For sale Open on Google Maps
000 Humpity Marsh Road, Torbay, NL A1K1G3, CA
Featured For sale Open on Google Maps
000 Humpity Marsh Road, Torbay, NL A1K1G3, CA
  • $160,000

Overview

MLS® NUMBER: 1295541
  • Vacant Land
  • Property Type

Listed by: Hanlon Realty

Description

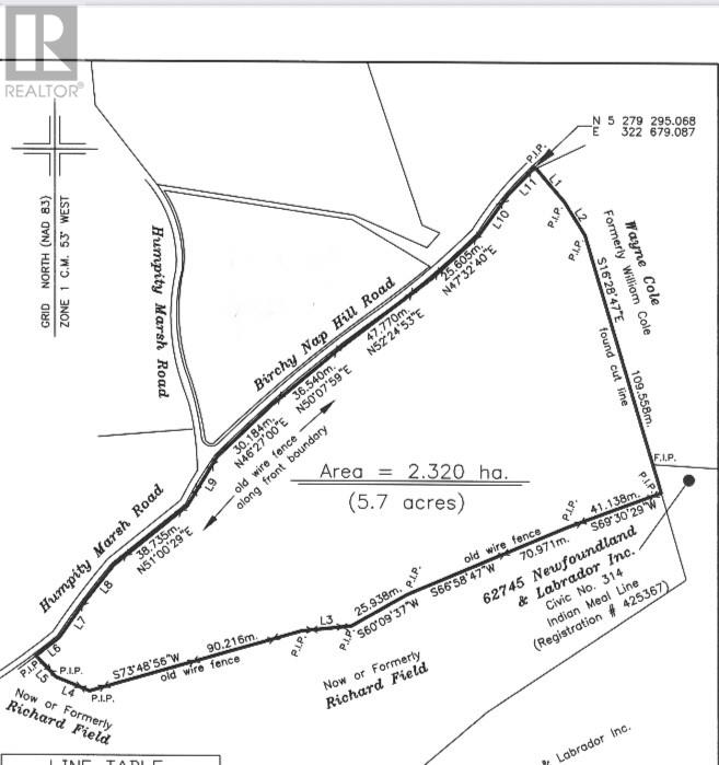
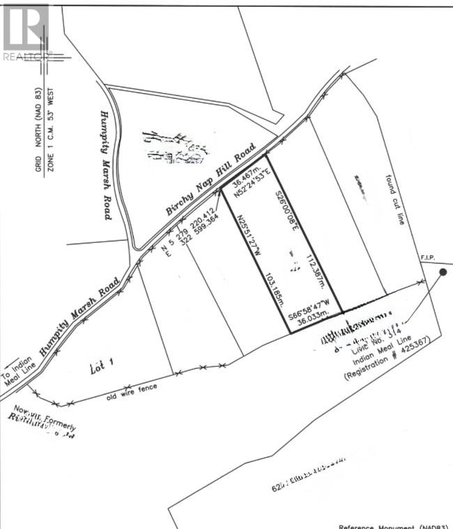
Prime investment opportunity to own a total of 7.2 acres of pristine land in Torbay. Tucked away off of Indian Meal Line along Humpity Marsh Road and joins into Birchy Nap Hill Road, these two parcels of land are being sold as one package. One parcel is 1.5 acres while the other is 5.7 acres and has the possibility to be subdivided into 6 building lots. Road access, HST if applicable and permits are the sole responsibility of the Purchaser. (id:58149)

Details

Updated on 2026-03-31 16:10:08
  • Lot Size:7.2 Acres
  • Amenities:Recreation, Shopping

Additional details

  • Floor Space:Array
  • Sewer:No sewage system

Mortgage Calculator

Monthly
  • Principal & Interest
  • Property Tax
  • Home Insurance
  • PMI
$
$
%
$
$
$

Compare listings

Compare
  • Contact Us